$565,000
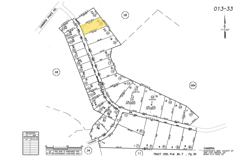
A rare offering in Cambria’s desirable Leimert Estates, this level 1.08± acre parcel presents an exceptional opportunity to secure land with grandfathered CCSD water rights and a meter already in the ground. Set among established homes and larger parcels, the property offers a sense of space, privacy, and quiet presence. The usable, level topography provides a versatile canvas for thoughtful future design and long-term vision. Opportunities to secure land for future building or generational planning in Cambria are limited. This unique parcel represents a meaningful foothold in one of the Central Coast’s most enduring coastal communities. Buyer to verify all aspects of development potential, water use, and applicable County and Coastal requirements.
Click to interact with map
Listed by Leslie Dougherty with Central Coast Sotheby’s International Realty (805) 927-1200
Property Type
Land
Status
Active
MLS Number
SC26044441
Year Built
N/A
Lot Size
1.08 acres