$12,000,000
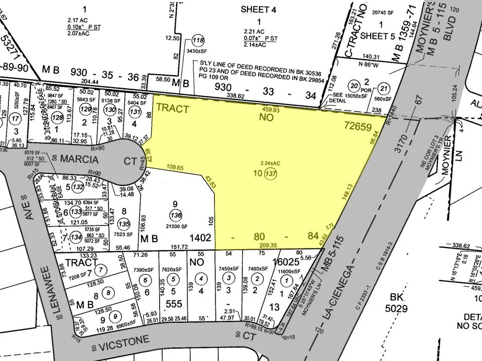
The subject property is located at 3801 S. La Cienega Blvd. in Culver City, California (APN #4204-010-137). This site consists of an approximately 2.24-acre irregularly shaped parcel of land in the very desirable Blair Hills neighborhood. The surrounding area consists of multi-million dollar homes to the west and south, multi-family residential buildings to the north, and La Cienega Boulevard to the east. The topography is generally sloping to the northeast with approximately 10 feet of vertical relief across the property. All utilities are located on the west edge of the site at the terminus of the Marcia Court cul-de-sac. Primary access to this site is on the west side from Lenawee Ave through Marcia Court. Zoning on the site is PD-14 (Planned District 14) and the General Plan Land Use designation is Medium Density Multifamily which allows for a maximum residential density of 50 du/acre. Culver City Ordinance No. 2016-007 was approved and adopted by the city in August 2016 for the development of Planned District 14. The entirety of the PD-14 planning area encompasses 4.35 acres and consists of one existing SFR, eight new SFRs and the subject property which was set aside for the development of a 90-unit/110-bed senior citizen residential care facility for assisted living and memory care. The northeast corner of the property falls within a State-designated Alquist-Priolo Earthquake Fault Zone. A geotechnical investigation was conducted in 2015 with results that indicated that active faulting and soil displacement is present in the northeastern portion of the site and a building setback was recommended to prevent the construction of habitable structures over areas of potential surface fault rupture. A geologic-seismic investigation done in 1977 (Scullin Report) concluded that no active faults traversed the site and the risk of ground rupture was considered low to moderate. The amount of land impacted by the fault zone is approximately 44,356 square feet (1.02 acres). This particular part of the site cannot be built on but could be used for parking and site amenities. The remaining buildable area of this site would be approximately 53,118 square feet (1.22 acres).
Click to interact with map
Listed by Matthew Wenzel with Marcus & Millichap (562) 257-1200
Property Type
Land
Status
Active
MLS Number
PW26092889
Year Built
N/A
Lot Size
2.24 acres