$35,000
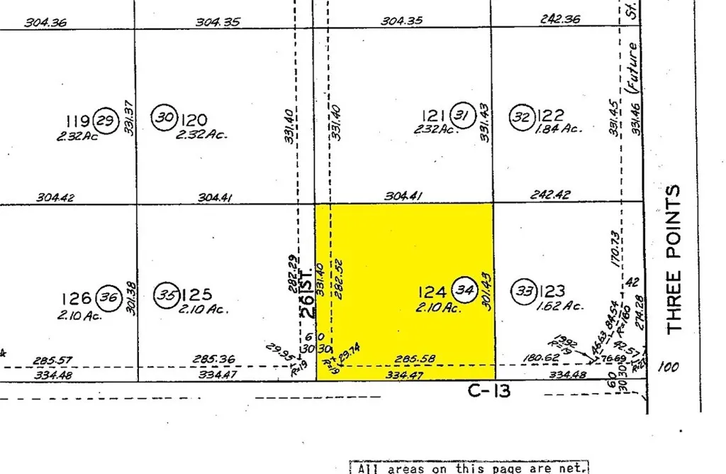
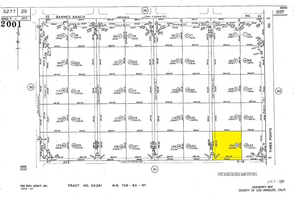
Seller will carry "easy terms" "Neenach area" ( near 5 Fwy) Flat parcel of 2 acres in the middle of homes. Build your dream home on this peaceful area, Just feet to Hwy 138. Nice community of Neenach, Mountain views, Easy terms. Stunning views of Tehachapi mountains. Address is just an approximate. We have many other lots
Click to interact with map
Listed by Wesly Iniguez with LA Best Homes (323) 584-1010
Property Type
Land
Status
Active
MLS Number
DW26091052
Year Built
N/A
Lot Size
2.54 acres