$7,950
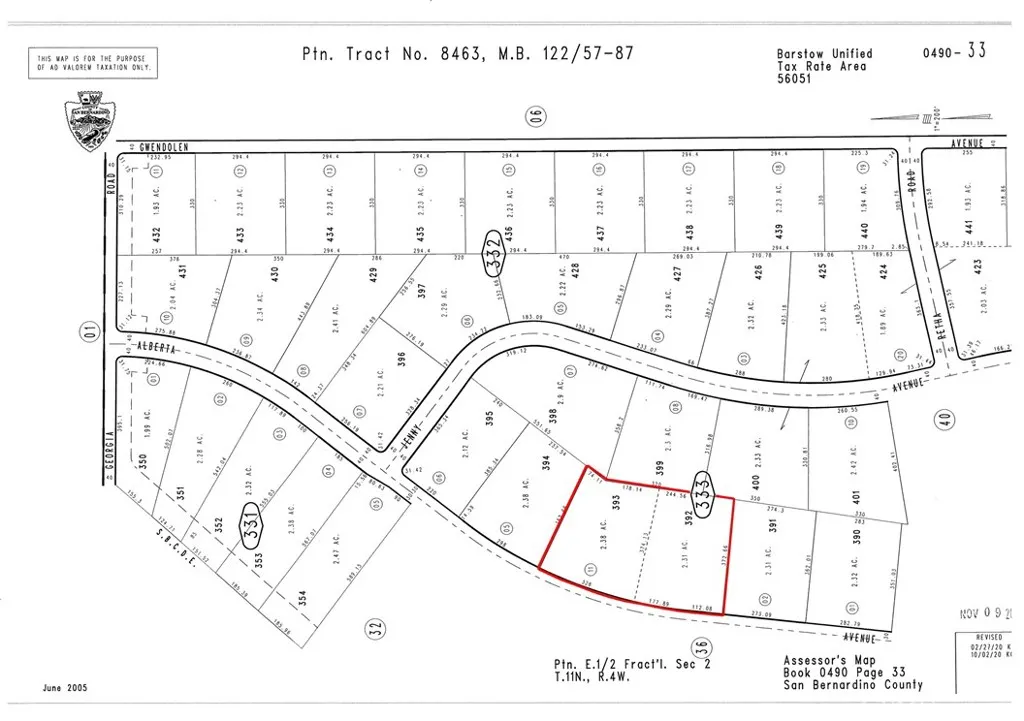
Unlock the potential of this rare double lot, Lots 392 and 393 of Tract 8463, offered under one APN (0490-333-11-0000, San Bernardino County) for added convenience. At 4.69 acres, this lot is twice the size of a typical parcel in the area, this expansive property provides the perfect canvas for a desert retreat, off-grid homestead, or long-term investment. Located just minutes north of Harper Dry Lake, the property showcases sweeping desert views and easy access to outdoor adventure. Explore nearby destinations like the Black Mountain Wilderness or the surrounding Lockhart Census-Designated Place, known for their wide-open spaces and rugged natural beauty. Whether you're seeking solitude, recreation, or future value, this oversized parcel delivers unmatched flexibility and opportunity in the heart of the Mojave Desert. Double the lot, double the potential. Don’t miss your chance to own a larger slice of the desert.
Click to interact with map
Listed by Scott Vu with Nexus Commercial (714) 454-5114
Property Type
Land
Status
Active
MLS Number
OC26075418
Year Built
N/A
Lot Size
4.69 acres