$175,000
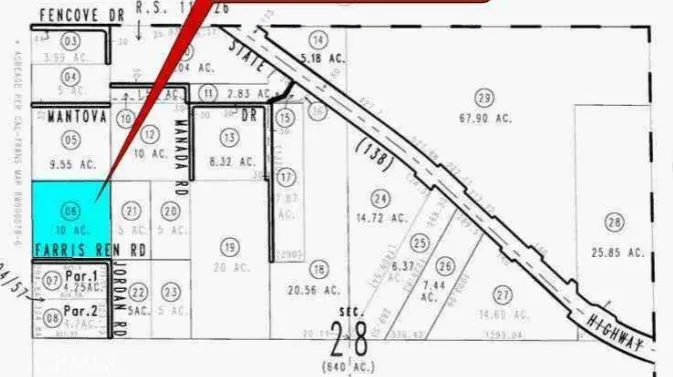
Nestled in the rolling back hills of the San Gorgonio Mountains, the charming town of Phelan is home to this exceptional 10-acre property. Featuring a beautiful mix of gentle hills and usable flat areas, this land offers the perfect setting for weekend getaways, outdoor recreation, or building your dream home. Conveniently located just minutes from the I-15 freeway and right off Highway 138, the property offers both privacy and accessibility. It sits between the scenic Lytle Creek area to the south and the Forever Wild Exotic Animal Sanctuary, and is just down the hill from Mountain High Ski Resort. Whether you’re looking for a peaceful retreat or a place to create your ideal rural lifestyle, this property provides endless possibilities. Experience the beauty of the High Desert and enjoy the great outdoors. Schedule a showing today to see this unique property in person!
Click to interact with map
Listed by Ignacio Cuevas with RGC Capital Inc. (562) 330-5796
Property Type
Land
Status
Active
MLS Number
DW26064823
Year Built
N/A
Lot Size
10.00 acres