Skip to main content
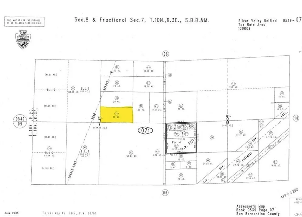
0 Coyote Lake Road, Newberry Springs, California 92365 - $42,900 | Allan Real Estate Investments