$150,000
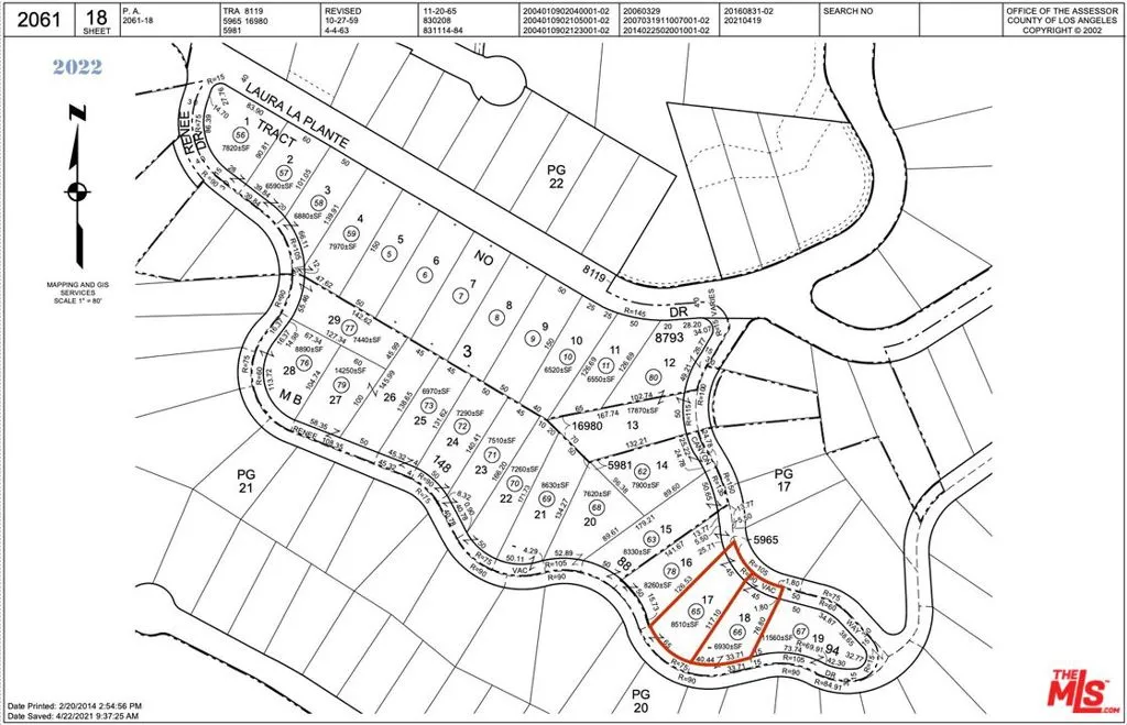
APN: 2061-018-065. Lot Size Appx 8,508 SF. Zoning RS. Great development opportunity with sweeping mountain views in the Agoura Hills area. Under the new SB9 legislation, the property offers the potential to build two units per lot, with the possibility of adding an ADU and/or JADU allowing for a total of three to four units, subject to site conditions (buyer to verify and rely on their own investigations). Seller also has old plans that call for a new 2-story 4BR/5BA single family home with 2-car garage & pool. Neighboring lot also for sale (MLS #25602901), providing an excellent opportunity for expanded development or investment. Old plans and reports available upon request. This property is centrally located in Agoura Hills, surrounded by multi-million-dollar homes, and offers convenient access to the 101 Freeway, as well as nearby shops, restaurants, and local amenities. Seller is open to financing, making this a rare and flexible offering for builders, investors, or buyers seeking to create their dream project in one of Agoura Hills' most sought-after areas.
Click to interact with map
Listed by Shawn S. Kormondy with Keller Williams Beverly Hills (310) 432-6400
Property Type
Land
Status
Active
MLS Number
25602877
Year Built
N/A
Lot Size
8,507 sq ft