$70,200
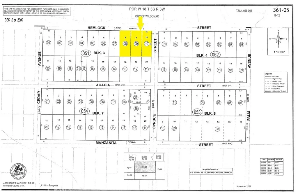
Exciting new listing! Offering a collection of 3 contiguous lots in the growing city of Wildomar, in Riverside County. Located north of the 15 Freeway and Cottonwood Canyon Road, at Hemlock St., Power is nearby the topography varies from flat to gently rolling, offering scenic views and flexible development potential. Short drive to I-15, I-215, and Hwy 74, Proximity to Loma Linda University Medical Center, Mt. San Jacinto College, shopping centers, and schools. Located near Canyon Lake, Menifee, and Lake Elsinore. Whether you’re looking to develop one home or invest in multiple parcels, this is an excellent opportunity in one of Southern California’s fastest-growing regions. Enjoy privacy, convenience, and beautiful surroundings, not quite off the grid, but close to nature. Buyer to verify land use and development potential with the City of Wildomar Planning Department. APN: 361-051-008 ; 361-051-009; 361-051-010 ; Size: 26,500 S.F ; Zoning: RR ; Terrain: Flat to rolling ; GPS: 33.655924, -117.234504 (N.W Corner)
Click to interact with map
Listed by Amir Maloumi with First Team Real Estate (714) 996-6070
Property Type
Land
Status
Active
MLS Number
PW25167622
Year Built
N/A
Lot Size
0.61 acres