$499,000
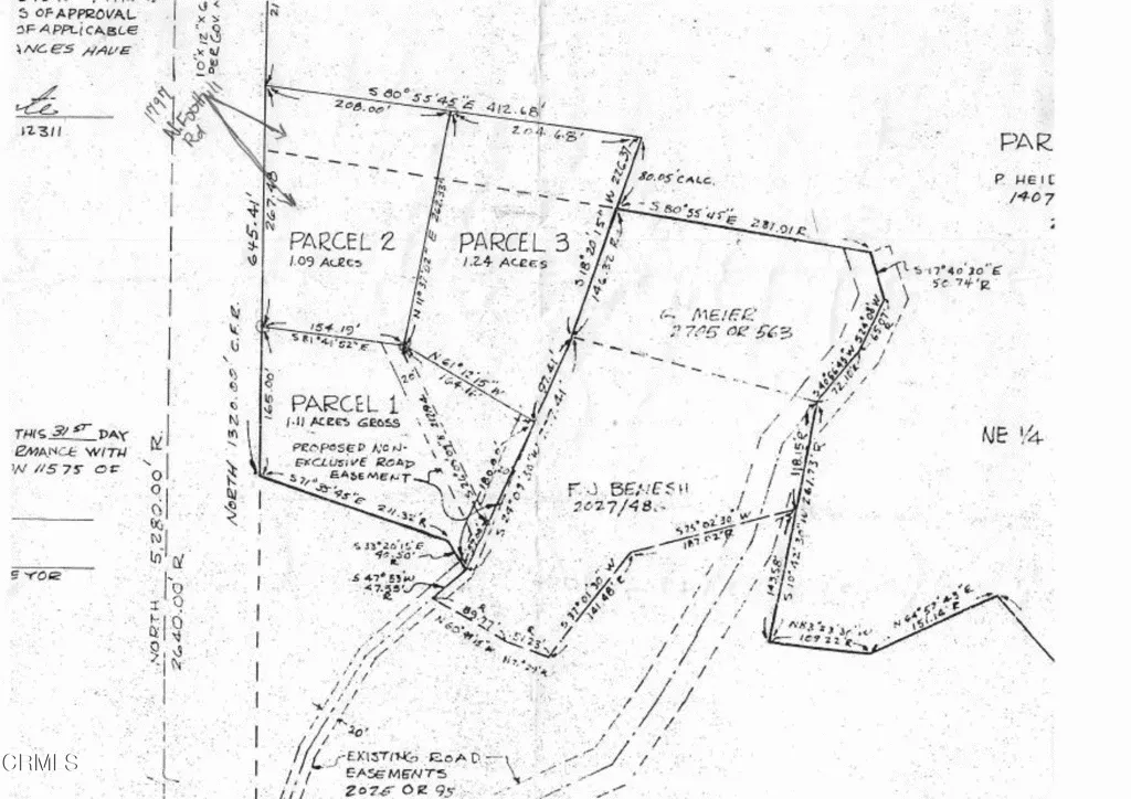
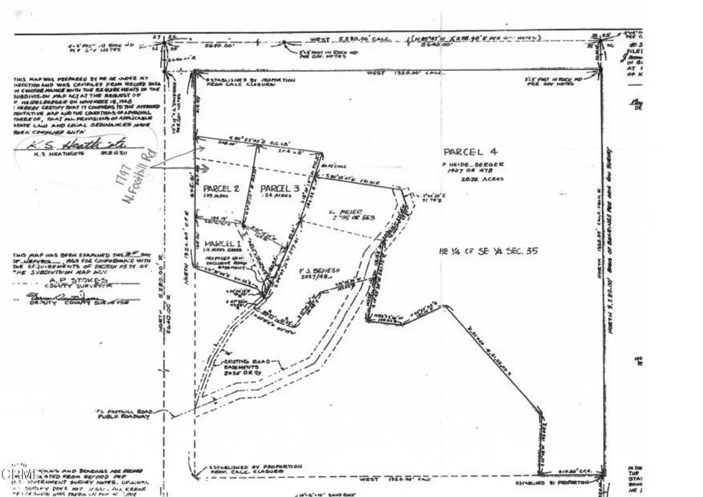
SELLER FINANCING! Introducing Spirit Rock Retreat--a rare opportunity to build your dream home on one of Ojai's most sought-after streets. Set on a scenic hillside with sweeping views of the valley and surrounding mountains, this exceptional parcel offers unmatched serenity, privacy, and inspiration.A striking natural rock formation rises from the land like a quiet guardian, anchoring the property with a sense of presence and wonder. Just minutes from downtown Ojai, Libbey Bowl, boutique shops, restaurants, and the beloved farmers market, this location offers the perfect blend of rural peace and small-town charm.Surrounded by open space, horse trails, and hiking paths, the setting is ideal for those seeking connection to nature and the Ojai lifestyle. The property is made up of 2 parcels and includes a water meter, electricity, an improved driveway, and an approved septic system for a three-bedroom home--offering a strong foundation for your vision.A place to create. A place to retreat. And the setting? It's pure Ojai magic.
Click to interact with map
Listed by Geena Bouche with BHHS California Properties (805) 677-7300
Property Type
Land
Status
Active
MLS Number
V1-30249
Year Built
N/A
Lot Size
1.01 acres