$14,000
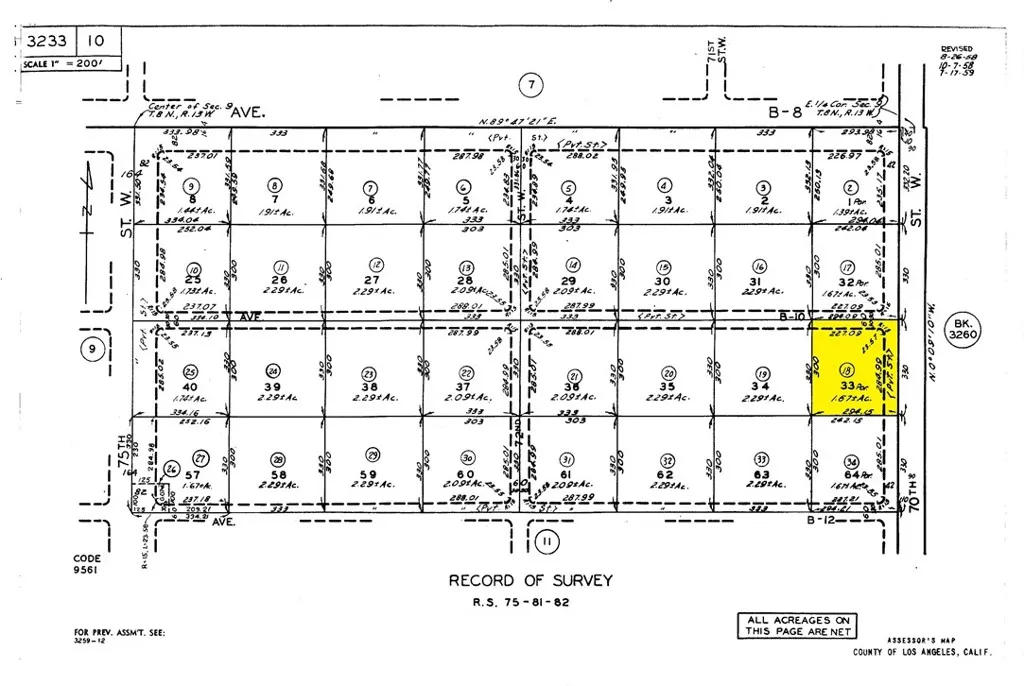
2.21-acre parcel located on 70th St W in the peaceful rural community of Antelope Acres, Los Angeles County (APN: 3233-010-018). Zoned A-2-2 (Heavy Agricultural), this property offers a great opportunity for those looking to build a custom home, establish a small ranch, or invest in land with flexible rural-use potential. Per Los Angeles County guidelines, the zoning allows for one-family dwellings, agricultural uses, livestock such as horses, cattle, and goats, as well as nurseries and related uses, ideal for those seeking space, privacy, and a country lifestyle. The parcel meets the minimum lot size requirements, making it suitable for development consistent with the zoning. No utilities are currently on site, giving buyers the ability to design and develop according to their needs. ****No soils reports, surveys, etc., have been done. Buyer and buyer's agent to verify all information with the city or county for allowable uses and requirements and rely on their own investigations. **Buyer responsible for checking zoning, utilities, permits and exact property boundaries. ****
Click to interact with map
Listed by Steve Welty with Steve Welty & Associates Inc (760) 773-5538
Property Type
Land
Status
Active
MLS Number
SW26088732
Year Built
N/A
Lot Size
2.22 acres