$20,000
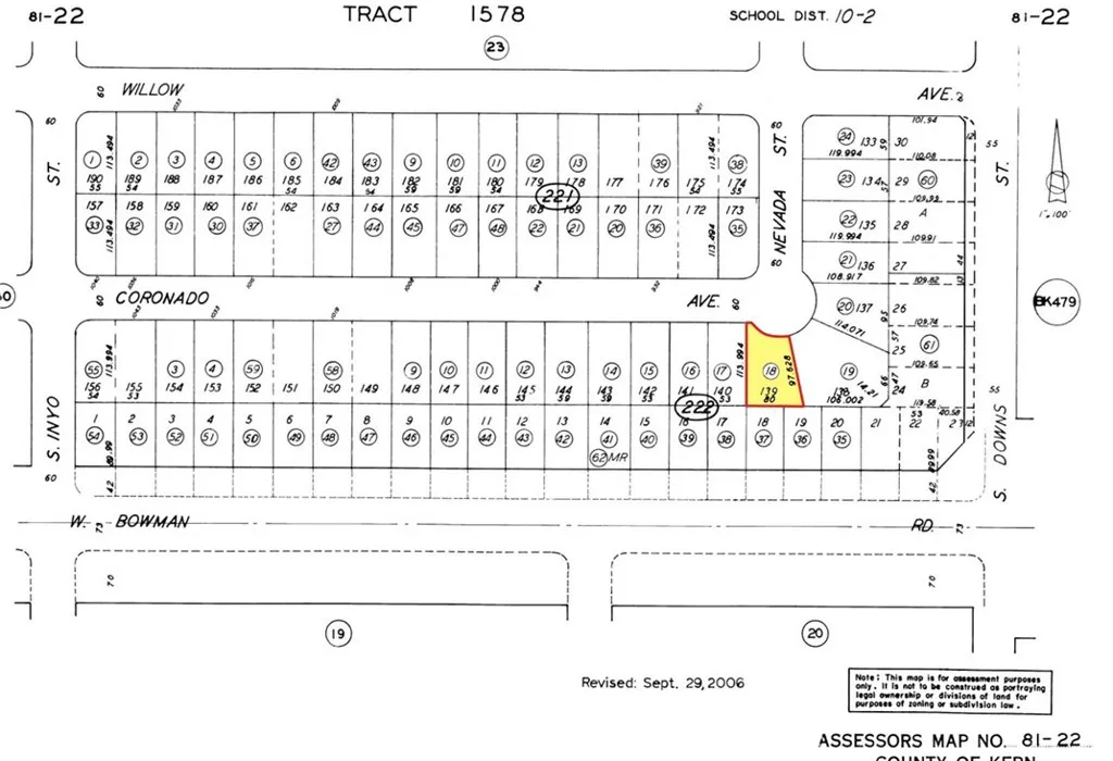
APN: 081-222-18-00-2 This lot is located on the corner of Coronado Ave and Nevada St in Ridgecrest, CA. Excellent location to build a home. The parcel is near to other homes and utilities for future hookup. Near to the center of town and HWY 395, this property is the perfect location to build your dream home.
Click to interact with map
Listed by NYDIA DEL RIO with HOME & LAND SOURCE (661) 400-9778
Property Type
Land
Status
Active
MLS Number
IV26086385
Year Built
N/A
Lot Size
7,318 sq ft