Skip to main content
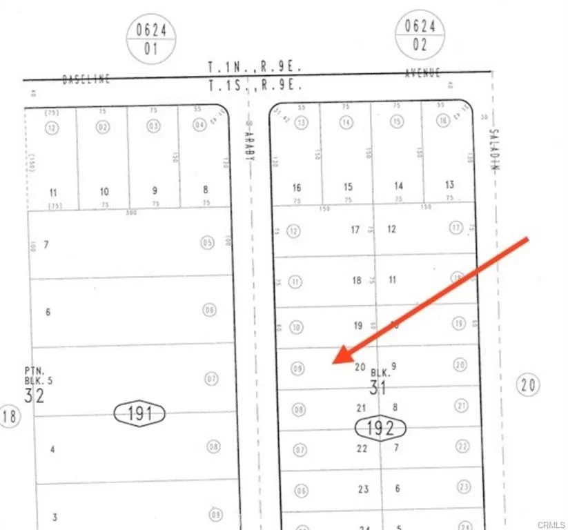
0 Araby, 29 Palms, California 92277 - $15,000 | Allan Real Estate Investments