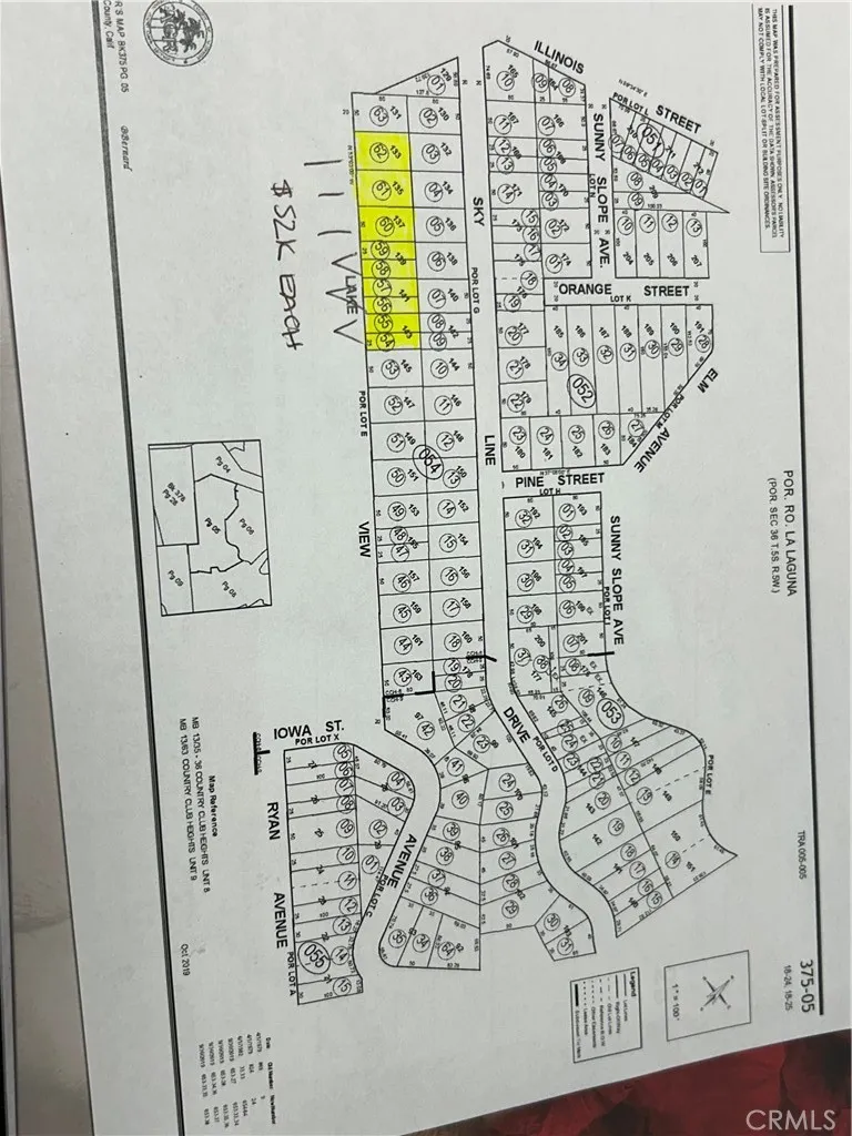
$52,000
Click to interact with map
Listed by Miguel Flores with Farnam & Associates Real Estate (844) 432-7626
Property Type
Land
Status
Active
MLS Number
SW26071096
Year Built
N/A
Lot Size
3,920 sq ft