Skip to main content
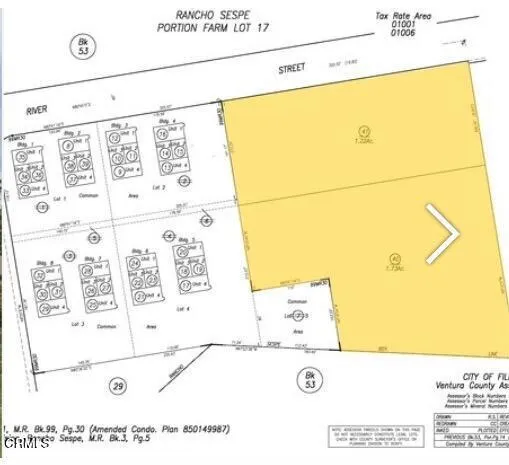
610 623 River Street, Fillmore, California 93015 - $12,000,000 | Allan Real Estate Investments