$79,500
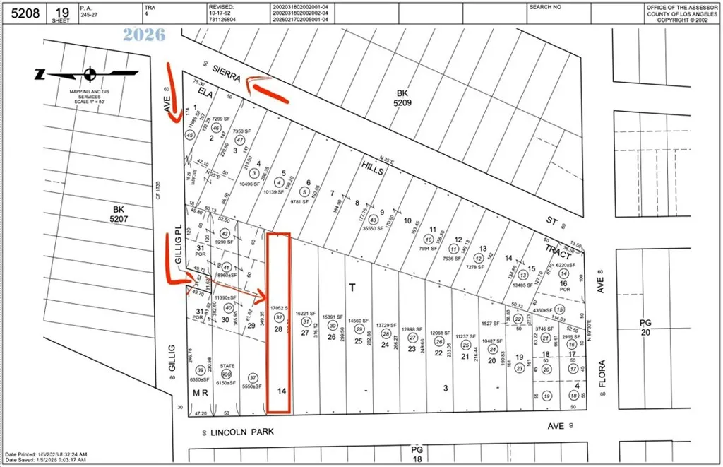
Discover a premier canvas for your architectural masterpiece in the rising enclave of Lincoln Heights/Montecito Heights/Rose Hill. This massive 17,016 SF double-sized lot (0.39 acres) offers a rare 50'×340' footprint, blending hillside tranquility and urban accessibility. Perched on a gentle slope, the lot boasts 180-degree panoramic views of the canyons and the iconic DTLA skyline. Zoned LARE20, the site offers incredible versatility—perfect for a secluded luxury estate or a multi-unit project (up to 4 units) with significant equity potential. Utilities are at the street with direct road access on a quiet cul-de-sac. Enjoy the "New Eastside" lifestyle, minutes from the 5, 10, 101, and 110 freeways. You’re a short drive from Dodger Stadium, USC Medical, and the vibrant dining scene of Highland Park, Downtown Los Angeles, and Pasadena. Development-ready and primed for your vision!
Click to interact with map
Listed by Joanna Diaz with The Real Estate Store Inc. (562) 464-9994
Property Type
Land
Status
Active
MLS Number
DW26067426
Year Built
N/A
Lot Size
0.39 acres