$120,000
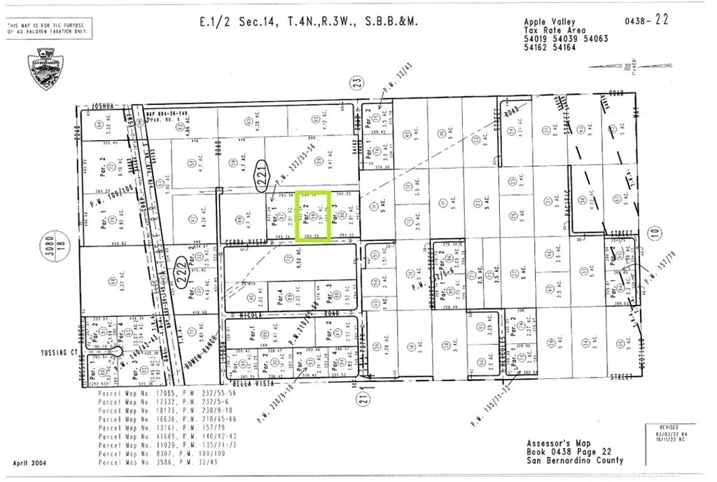
***Come VIEW and MAKE an OFFER TODAY! Amazing land opportunity in Apple Valley CA. Part of the Ranchos Del Oro community, the 2.91 acre lot is tucked away in the hills with plenty of room to build a custom home offering GORGEOUS VIEWS to the NORTH and WEST. LOT SPLIT and APPROVED TRACT MAP NO. 17085 have been taken care of with the county so site already has its own address on Cerra Vista St. Also, the property is adjacent to utility lines. PLUS, DRAINAGE STUDY, WATER PLANS, and GRADING PLANS are INCLUDED with the sale. These plans will save TIME and MONEY for any developer looking to get a project underway. With a shortage of homes on the market and demand continuing to rise, this is an ideal site for NEW CONSTRUCTIONS. Not to mention, two adjacent lots are also for sale. See APNs 0438-221-97 and 99. Each parcel can be purchased separately or as a package deal. A definite must see opportunity before it's too late.***
Click to interact with map
Listed by Jeffrey Nyal with Coldwell Banker Home Source (760) 242-6000
Property Type
Land
Status
Active
MLS Number
HD26063138
Year Built
N/A
Lot Size
2.91 acres