0 Linnet Road, Wrightwood, California 92397 - $575,000 | Allan Real Estate Investments
Location
Click to interact with map
Property Highlights
$575,000
0 Linnet Rd
Wrightwood, CA, 92397
0 Linnet Rd
•Wrightwood, CA, 92397
0
Bedrooms
0
Bathrooms
0
Square Feet
2
Days on Market
0
Bedrooms
0
Bathrooms
0
Square Feet
2
Days on Market
About
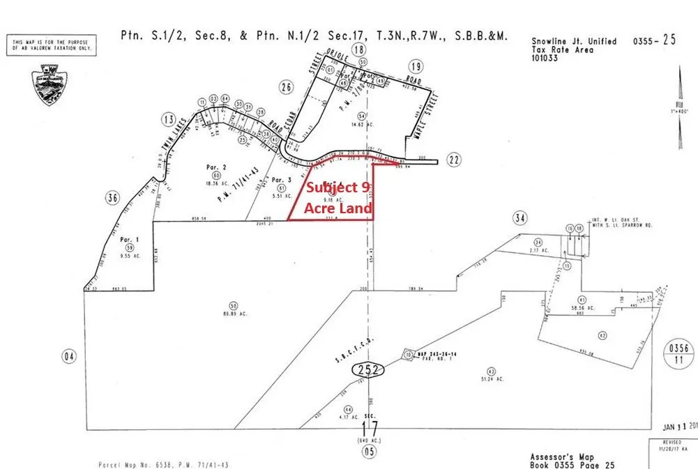
About 9 plus acre prime land located in Wrightwood California near Mountain High Ski Resort. This ski resort considered one of the most popular winter desalination for millions of visitors per year. Mountain High is the closest ski resort from LA, Orange and San Diego county. ZONED FOR HORSES!! A perfect location to build a mountain estate, ranch, vacation lodge, retreat center, religious worship center and more (Buyer to verify zoning). This property has breath taking mountain views and national Forrest. Seller was on the process of building a custom ranch home and many county required tests already completed which will save new buyer significant study cost. Only 3 minutes drive to down town Wrightwood a mountain town with many vacation motels, hotels, lodges, restaurants, super markets, many ski and bike shops. One of the largest build-able lot on the market. THIS GORGEOUS HILLSIDE IS LOCATED IN THE WRIGHTWOOD MOUNTAINS BORDERING THE COUNTRY CLUB. PERFECT FOR A BUILDER THAT WANTS TO BUILD HILLSIDE HOMES. BUYER TO VERIFY LAND USE WITH THE COUNTY OF SAN BERNARDINO AND ALL UTILITIES. Motivated Seller May offer Seller Financing.
Listed by Mohammad Alam with Alam Realty (760) 247-6655