Skip to main content
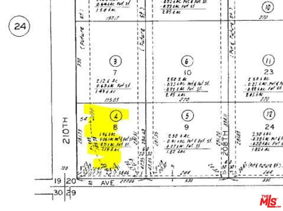
212 W Avenue E, Lancaster, California 93536 - $30,000 | Allan Real Estate Investments