$100,000
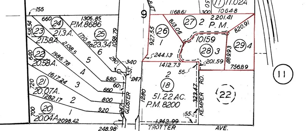
Premier Agricultural Land with High-Visibility Potential An expansive opportunity awaits with these 72+/- acres strategically positioned between Highway 14 and Sierra Highway. This offering consists of four individual parcels, providing a versatile canvas for agricultural use, residential development, or a unique investment in a high-traffic corridor. Property Highlights: • Expansive Acreage: Approximately 72 acres divided into four lots. Purchase one specific parcel or the entire portfolio. • Strategic Location: Exceptional visibility from both Highway 14 and Sierra Highway, making this a prime billboard property for maximum exposure. • Development Potential: Zoned as Exclusive Agriculture, allowing for the construction of a home on each individual lot. • Stunning Vistas: Elevated positioning offers beautiful views of the Mojave landscape and evening city lights. • Utilities & Access: Electricity lines are located on the adjacent northern lot. Access is available via Kemper Rd and Trotter Ave. (Buyer to verify water/well requirements). Location & Access: The property is easily accessible via Trotter Ave from Sierra Highway. For those looking to capitalize on the proximity to the freeway and the high-visibility frontage, this land offers a rare combination of rural privacy and commercial-grade exposure.
Click to interact with map
Listed by Polly Yamat with Bancorp One, Inc. (310) 717-3478
Property Type
Land
Status
Active
MLS Number
HD26009716
Year Built
N/A
Lot Size
72.50 acres