$35,000
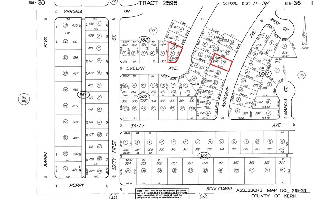
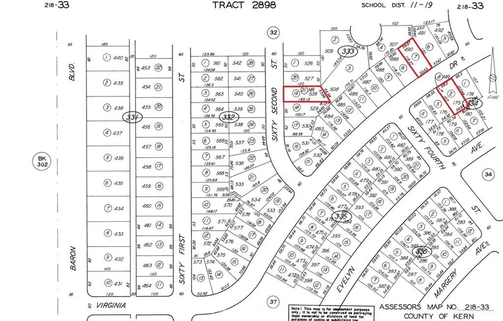
For sale is 1+- acre divided into 7 different lots (not connected). All are zoned as R1 and have water to the lot lines. Buyer to verify water and other utilities. The price listed is for all 7 lots. The 7 lots are: APN: 218-342-14 on Evelyn Ave: 6104 sq ft APN: 218-362-06 on Evelyn Ave: 5936 sq ft APN: 218-363-26 on Margery Ave: 6302 sq Ft APN: 218-325-14 on Alice St: 4586 sq ft APN: 218-333-07 on Virginia Dr: 7083 sq ft APN: 218-333-19 on 62nd St: 7023 sq ft APN: 218-334-02 on Virginia Dr: 5845 sq ft
Click to interact with map
Listed by Polly Yamat with Bancorp One, Inc. (310) 717-3478
Property Type
Land
Status
Active
MLS Number
HD25273693
Year Built
N/A
Lot Size
0.98 acres