$3,750,000
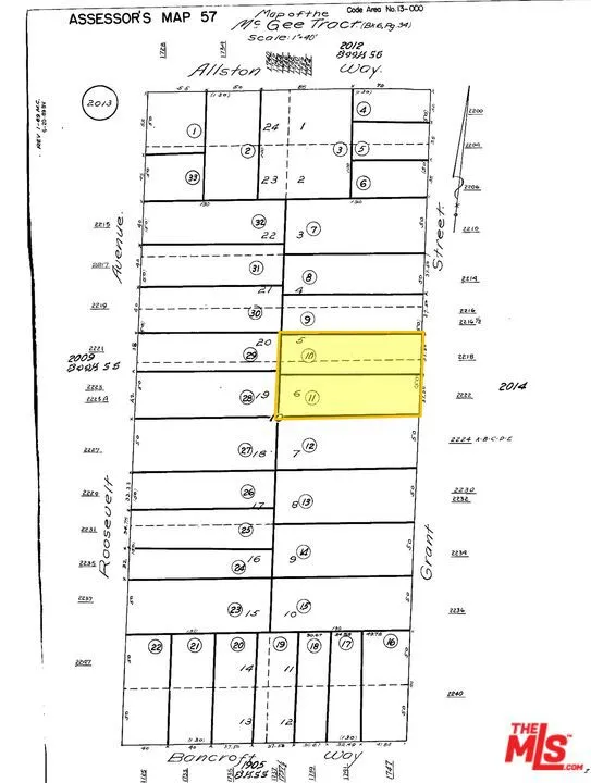
Vacant, adjacent land lots, 2218 & 2222 Grant St., zoned R-2 Berkeley Residence, recent zoning change allowing for more entitlements, offering an excellent redevelopment opportunity for multifamily or student housing. The property provides a clean slate for development in a desirable area with strong housing demand. Ideal for investors and developers seeking proximity to local amenities and educational institutions, 0.6mi from UC Berkeley, one of the most prestigious schools in the country, and 0.5mi from the downtown Berkeley BART station, offering benefits from CA SB-79. Two vacant homes on 9,980 sq ft of land total between the two lots. This R-2 zoned site is eligible for significant new density under Berkeley's recently passed, Middle Housing Ordinance and when coupled with density bonus and proximity to mass transit (CA SB 79) a developer could build anywhere from 16 to 28 units in 3 to 6 stories without any parking. Height and density will be determined by affordable restrictions. There are no parking requirements for this site, as it's walking distance to UC Berkeley, retail and public transportation. This site is currently unentitled and provides a developer to design a project that takes advantage of Berkeley's recent changes in zoning. Rare, assembled development site in central Berkeley positioned to capitalize on California SB 79, which takes effect January 1, 2026. This legislation unlocks ministerial approval and unprecedented density for projects, like this one, within 1/2 mile of major transit, bypassing Berkeley's historically restrictive local zoning. APNS: 057-2013-010 & 057-2013-011
Click to interact with map
Listed by David Kaufman with David Ballin Kaufman (310) 877-8600
Property Type
Land
Status
Active
MLS Number
25618269
Year Built
N/A
Lot Size
9,980 sq ft