$167,000
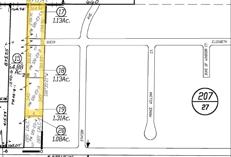
Exceptional residential lot located in the highly desirable McSwain area—an ideal setting to create the home you’ve always envisioned. Sitting on just over an acre, this spacious parcel offers endless possibilities for your custom build, with plenty of room for a pool, shop, or outdoor entertaining space. Surrounded by beautiful, custom-built homes, the property provides a peaceful rural atmosphere while still being conveniently close to town, schools, and major commuter routes. Enjoy the best of both worlds—quiet country living with easy access to nearby amenities. Don’t miss this rare opportunity to secure a prime piece of land in one of McSwain’s most sought-after neighborhoods. The perfect canvas for your dream home awaits! This Property is being sold along with two other vacant lots.
Click to interact with map
Listed by Araceli Gomez Gutierrez with NextHome D&G Realty Group (209) 222-6160
Property Type
Land
Status
Active
MLS Number
MC25247376
Year Built
N/A
Lot Size
1.13 acres