$199,990
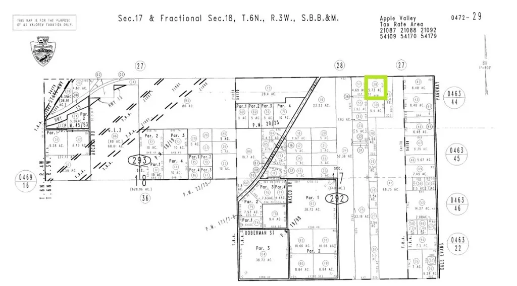
***Come VIEW and MAKE an OFFER TODAY! Affordable LAND OPPORTUNITY located in expanding Apple Valley CA. The nearly 6 ACRE parcel is positioned on the SE corner of Quarry Rd and Harris Ln with paved frontage along the northern boundary, and is just south of the Cemex Railroad Tracks. Plus the site is adjacent to power lines and sewer lines. Zoned RL - Rural Living the parcel allows for many different uses including residential, industrial, commercial, and agricultural. The property is right in the path of growth situated less than 2 miles away from where the BRIGHTLINE WEST High Speed Train Station will be breaking ground soon off the Dale Evans Pkwy and Interstate-15 exit. In addition, the area is quickly becoming an essential distribution hub with existing distribution centers in operation and new facilities currently under construction. The parcel is ideal for anyone needing extra space for their own personal ranch, and would be perfect for any truck drivers that need to park their trailers close to where they might be picking up loads from nearby distribution centers. As an added bonus the parcel previously had a structure on site and a WELL was drilled at one time that may be salvageable. With so much potential and growth coming to the area, this is a MUST SEE OPPORTUNITY before its too late.***
Click to interact with map
Listed by Jeffrey Nyal with Coldwell Banker Home Source (760) 242-6000
Property Type
Land
Status
Active
MLS Number
HD25243968
Year Built
N/A
Lot Size
5.70 acres