Skip to main content
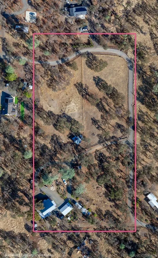
135 Sunny Hills Rd, Bangor, California 95914 - $445,000 | Allan Real Estate Investments