Skip to main content
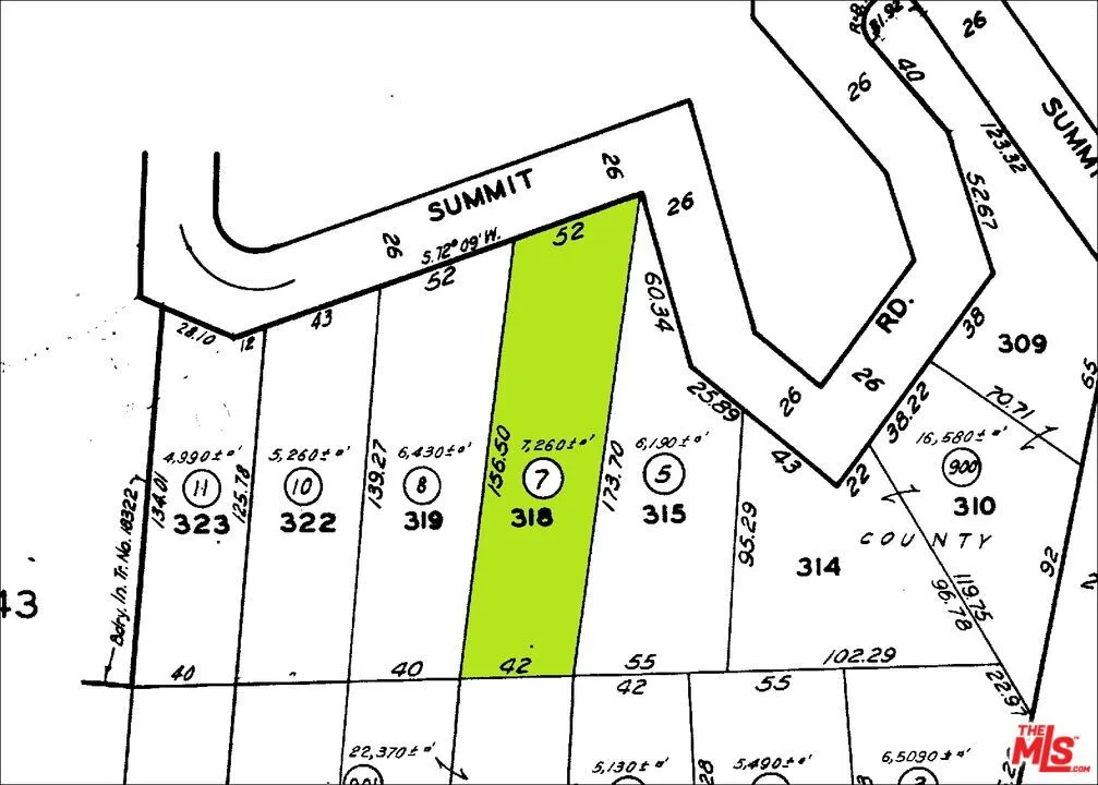
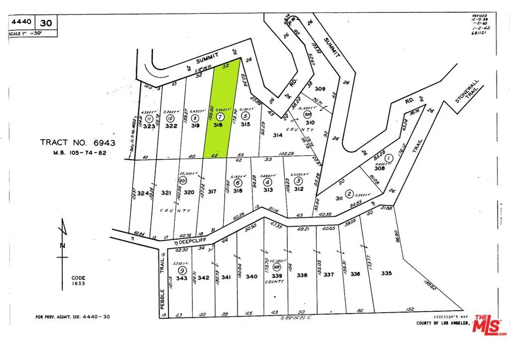
21190 Summit Road, Topanga, California 90290 - $48,000 | Allan Real Estate Investments