$65,000
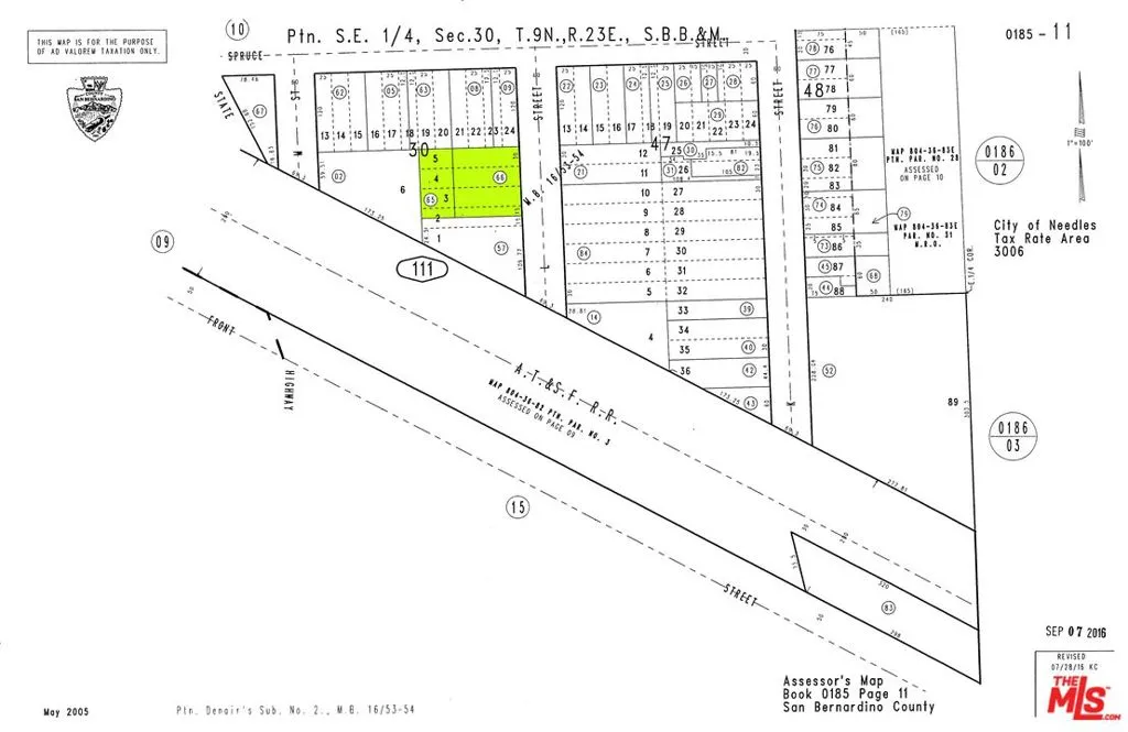
Fantastic opportunity to develop in a prime location near the Colorado River. This offering includes two adjacent parcels being sold together for a total of approximately 15,750 square feet (APN 0185-111-66 at 10,500 sqft and APN 0185-111-65 at 5,250 sqft). Zoned R3, this property allows for multi-family development with up to 30 units per acre, per city planning. Manufactured homes may also be allowed - buyer to verify with city planning. Located within one mile of the Colorado River, Rivers Edge Golf Course, and a public boat launch, this site is ideal for a personal desert retreat, Airbnb investment, or multi-unit development. The city has stated that utilities and sewer are available at the street. Easy access to major highways adds further convenience. Financing is available. Interested buyers are strongly encouraged to verify all aspects of the property, including but not limited to zoning, utilities, water, sewer, building requirements, and permitted uses. Contact listing agent for additional details.
Click to interact with map
Listed by Fernando Lara with Brokers Trust Real Estate Group (818) 571-9712
Property Type
Land
Status
Active
MLS Number
25582101
Year Built
N/A
Lot Size
0.36 acres