Skip to main content
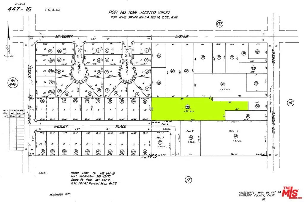
541 S San Jacinto Street, Hemet, California 92543 - $135,000 | Allan Real Estate Investments