$595,000
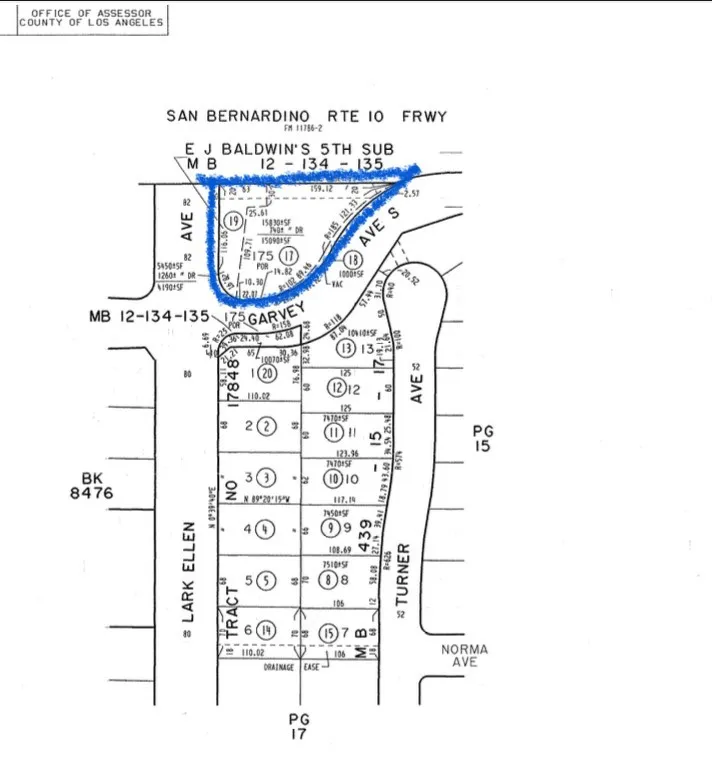
Exceptional Development Opportunity! This expansive 23,170 sqft land parcel (APNs: 8477016019 with 17,645sqft and 8477016018 with 5,527sqft) is strategically located in West Covina, at the intersection of S Lark Ellen Ave and E Garvey Ave South, close to Fwy 10. Currently zoned for Commercial, Industrial, and Office Professional Mixed-Use, this property offers vast potential for investment, builders, or developers. (City confirmed that the property can be 15% used for commercial and the rest for residential use.) Subject to zone change and city planning approval- Opportunity for mixed-use development. Key Features: Prime location with proximity to stores, restaurants, and Fwy 10- Potential for subdivision, Important Notes: All information is deemed reliable but not guaranteed- Buyers are advised to conduct due diligence to determine development standards and other pertinent information
Click to interact with map
Listed by MAY LAU with Pinnacle Real Estate Group (626) 888-9808
Property Type
Land
Status
Active
MLS Number
WS25088391
Year Built
N/A
Lot Size
0.53 acres