Skip to main content
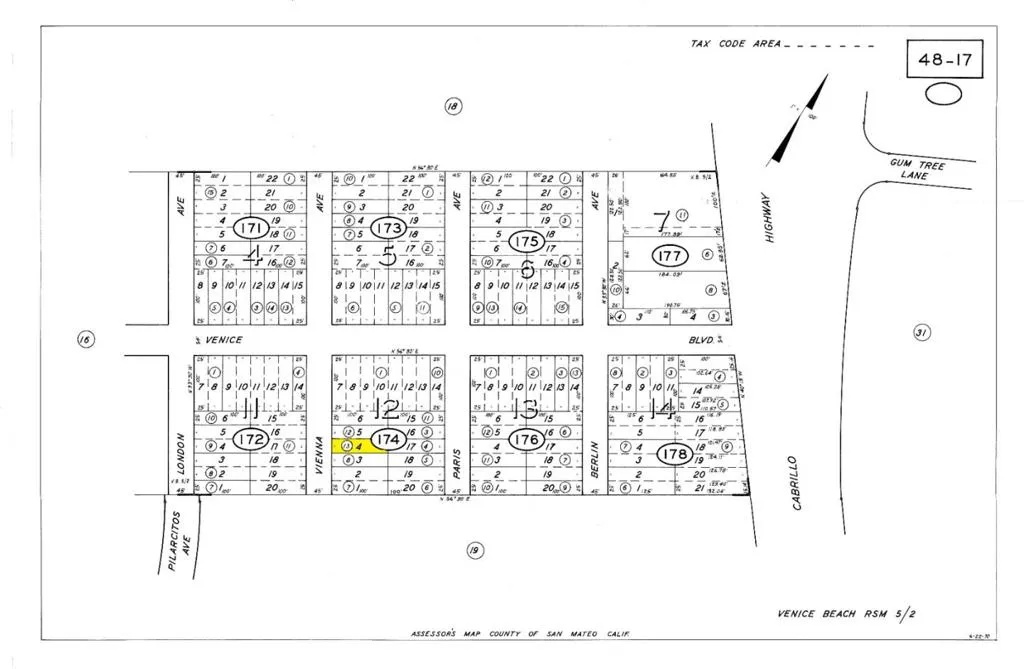
0 Vienna, Half Moon Bay, California 94019 - $23,500 | Allan Real Estate Investments