Skip to main content
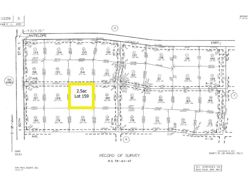
Vic 88 Stw, Lancaster, California 93536 - $20,000 | Allan Real Estate Investments